Uživatelské jméno: Heslo: Dnes je 13. listopadu 2025
Aktuálně O městě Pro turisty Pro občany Podnikatelé Katalog
fanstyby.stříbro.cz



Bude ve Stříbře koupaliště?


Zastupitelstvo města Stříbra dne 19. 9. 2013 …

rozhodlo, že město požádá o dotaci na výstavbu venkovního koupaliště, které by mělo stát v prostoru bývalého školního sadu a bylo by v provozu cca 3 měsíce v roce.

Původní záměr byl, aby vedle sebe byl zimní stadion a krytý plavecký bazén s tím, že by se případně „odpadní" teplo ze zimního stadionu nechalo využívat pro krytý bazén.  Obě tyto stavby jsou ale finančně nákladné a je problém na ně sehnat dotace, protože vhodné dotační tituly se hned tak nevypisují.

 Zastupitelé proto zvolili levnější variantu venkovního koupaliště, které by ale mělo být umístěné jižněji směrem k parku tak, aby původní prostor pro krytý bazén zůstal, kdyby se někdy v budoucnu k jeho výstavbě přistoupilo.

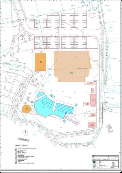
V severní části areálu je počítáno s parkovištěm pro návštěvníky, které by se využívalo i pro zimní stadion. Vchod do areálu by byl naproti kluzišti, hned nalevo za vchodem jsou plánovány převlékací kabinky, sprchy, WC,  stanoviště plavčíka s ošetřovnou, bufet s terasou  a zázemí pro technologii na čištění vody a skladovací prostory. 

 Vlastní koupaliště bude rozdělené na část plaveckou s hloubkou 1,1 až 1,3 metru a na dětské brouzdaliště.  V západní části je počítáno i s dětským koutkem a hřištěm.  Na přesné umístění se podívejte na nákres níže.

Stavební část byla odhadována na 27 miliónu Kč, takže je jasné, že bez dotačního titulu, který je právě vypsán, není město schopno koupaliště postavit. To ale neznamená, že žádosti města Stříbra bude vyhověno a je otázka, zda ještě někdy v budoucnu bude dotační titul vypsán.





Dne 03.12.2013:Ing. Josef Hrábek


31.12.2013 - 01:02:11
greatgreat - kdyby proběhlo referendum,zjistíte že takhle trapnou stavbu tady chce tak 50 občanů z 8000!! takže mathiasi a mecenáši,proberte se z toho snu!!!
23.12.2013 - 01:03:19
bigles - To se opravdu našel člověk, který se postavil tomu dotačnímu šílenství? Klobouk dolů .... Musel vědět, že se "lid" dozví jeho jméno. Senátor obratně odpadlíka neodhalil, ale o koho se v žádném případě nejedná, to nám prozradil. Tedˇ může toho zloducha vystopovat i méně bystrý volič. Jsem rád za některé tvrdohlavé spoluobčany. Kdybych byl sám proti větrným a solárním elektrárnám, proti spalovnám odpadu vedle sídlišť, proti koupalištím na kopci nad řekou, proti hospodaření s "cizími" penězi, myslel bych si, že jsem se zbláznil a společně s etalonem moudrosti Mathiasem bych mohl v klidu prohlásit, že jsem neuvěřitelnej idiot. Je hezké vědět, že nebudu za cvoka sám. Díky, manželé S****ovi, snad se mi jen nezdáte. :-)
12.12.2013 - 15:16:17
mecenas - Milý pane Urbane – kdybyste se trochu o tento projekt zajímal a byl jste se, jako třeba já, podívat dole na radnici, kde bylo celé koupaliště prezentováno, pak byste možná věděl, že kromě koupaliště by se při stavbě budovala mimo parkoviště i nová přístupová cesta přes bývalé letní kino (to je vidět i na přiloženém výkresu) a tam již pozemek sousedí se zmíněným pozemkem. A za další si své zdroje ověřuji na více místech a pracovnice úřadu mi toto jméno potvrdila. Po kontrole parcelních čísel v katastru nebylo důvodu jí nevěřit. Karaaas – stydím se, ale za takové lidi jako jste vy, kteří by nejraději nedělali nic a jen kritizovali ostatní. A katastr je veřejně přístupný.
10.12.2013 - 19:50:10
piikoloo - To nevím,ale zveřejňovat zde číslo parcely lidí,kteří s tím pravděpodobně nemají nic společného,je opravdu pod úroveň. Mecenáš musí být opravdu víc lehkomyslnější. Nechcete se nám představit spíš vy?
10.12.2013 - 18:14:58
Mathias - Proč se s tím dělají takové tajnosti? Pan Nenutil tady tvrdí, že někdo nesmyslně blokuje projekt koupaliště, ale neřekne kdo a proč. Pak zbývá prostor pro spekulace. Přitom stačilo napsat je to pan x, y, nechce bazén za pozemkem a hotové, vyřízené. Jedno je jisté, pokud někdo z plezíru a bez racionálního opodstatnění blokuje něco, co si přeje, troufám si tvrdit, většina stříbrňáků a to už hezkých pár desítek let, tak mohu v klidu prohlásit, že je to neuvěřitelnej idiot. Z příspěvku pana Nenutila to totiž tak vyplývá. Takže pokud tady chcete někomu spílat, tak určitě ne nějakému mecenaši. Kdo by měl vysvětlovat je pan Nenutil. Ten se ale podle všeho naloguje tak zhruba zase za pět let.
10.12.2013 - 17:50:24
karaaas - Mecenáši,vy jste opravdový ubožák,že se nestydíte. A Lojzo,kdo po tom volá? Já určitě ne. A spoustu občanů Stříbra také ne... Nejlepší by bylo,kdyby se tady ve Stříbře už do žádných větších projektů nepouštěli.
10.12.2013 - 15:56:46
PU12 - Pro "mecenáš" : Typický příklad, jak někoho napadnout bez důkazu. Při pohledu na plánek koupaliště, je zadní hrana před bývalým hledištěm letního kina /modrá barva obrysu/, a výjezd z parkoviště je cestou od bývalého letního kina. Výjez je na parcele 1865/1. Pozemek manželů S..... 1865/8 je až za bývalým letním kinem a v žádném případě nesousedí s parcelou č 1858/1 pod koupalištěm. Před tím, než někoho napadnete, se raději dobře podívejte a zjistěte data. Nyní, bych být Vámi koupil dobrou lahev a šel se citovaným manželům omluvit. Což ale nedokážete, protože jste anonym. Slušným lidem přeji hezký den. Jiří URBAN
10.12.2013 - 07:46:34
mecenas - Při pohledu do katastru se potvrdila informace, že tím, kdo nedal souhlas a zablokoval tak žádat o dotaci, byli manželé S****ovi, kteří vlastní parcelu č. 1865/8. Chytří si to již v katastru dohledají. Tak snad za dalších 20 let se dočkáme. Mathiasi - souhlas.
09.12.2013 - 22:40:05
Vendulka - Milý Lojzo, milý Lojzo mý děti jsou v pohodě. Za 30 let slibování už jsme se mi a následně i moje děti naučili žít bez veřejného koupaliště. Jen mi je líto, že si myslíte, že ten záměr měl vyjít. Podívejte se na zimák, kolikrát se mě zastřešit a pořád tam ch...e a ch...e - jak říkal starej Kemr.
09.12.2013 - 21:20:28
alois - Vypadá to, že jsem hlupák i já. Koupaliště s dětským koutkem, brouzdalištěm, hřiště, tobogán. Navíc nechaný i prostor, kde by mohl být v budoucnu bazén. To všechno za dotační peníze. Asi to nebude výdělečné, ale mám také děti, rozhodně je to však krok dopředu a jak dlouho už po něčem takovém voláme? No a když je možnost, všichni jsou hlupáci, kteří se zviditelňují před volbami. Vendulka utěšitelka bude mít spoustu práce se všemi těmi zklamanými dětmi.
09.12.2013 - 20:53:53
Vendulka - Myslím milý mecenasi, že oslovení hlupák více než zdvořilé. Profesionálové, kteří pravidelně řeší podobné projekty spojené s dotacemi a územním řízením atd. musí vědět co vše to obnáší a jak časově je to náročný. Není to poprvé co se na stříbrský radnici něco podobného řeší. Pokud někdo dokola opakuje podobné chyby, tak je prostě HLUPÁK. To není urážka, to je fakt. Možná by to chtělo více takových odvážných tvrdohlavých občanů, a potom by se vytvořila dlouhodobá, střednědobá a krátkodobá koncepce podložená projekty, které budou k užitku občanům. Takto mi to připadá, že si pár místních "politiků" sbírá body před nadcházejícími volbami. V čem je polovičatý? Je to opšt projekt jako plnohodnotný zimní stadion vedle nebo squashová bowlingová hala. S těží ho využijí místní natož, aby přilákal lidi z okolí a jeho ztrátovost se minimalizovala? Ví se kolik budou dělat roční provozní náklady? Nelze udělat bazén, koupaliště nebo aquapark, který se bude moci využívat po celý rok? Myslím si, že v současné době většina lidí má bazén na zahradě a čachtat se v brouzdališti pro dospělé ve studené vodě jako to mají v TC není žádný zázrak. Navíc jsem matka tří dětí a výběr bazénu vždy souvisí s vodními atrakcemi. Pokud tam není tobogán, nechtějí tam jet. Pro mě osobně je toto koupaliště jen a jen polovičatým řešením, který je více méně předvolebním tahem. Možná se pletu.
09.12.2013 - 20:33:11
karaaas - Mně osobně by spíš vadilo,kdyby mi tohle "monstrum" mělo vyrůst za barákem,než způsob financování. Důvody-použiji Mecenášovo moudro-chytrý a nezaujatý člověk si odpoví sám. :-D
09.12.2013 - 18:45:16
Mathias - "Vadí mu způsob financování".?? Nechápu. No, kdyby to dával celé ze svého..Možná by nebylo od věci udělat na betonové zídce slávy další kolonku, vedle ostatních "významných" lidí našeho města, jako Lakatoš, Makarov a další Lopaty, pod názvem: "podařilo se mu nasrat 7 000 obyvatel". Skvěle by se am vyjímal, hned vedle Hrada a Lešáka.
09.12.2013 - 16:12:58
mecenas - Vendulka zde používá velice často slovo hlupák. Kdo je ale ve skutečnosti hlupák? Ten, kdo, z nějakého možná pro něj důležitého důvodu, připraví město o možnost možná i 100% dotace a zastaví projekt, po kterém voláme již mnoho let, nebo ten, kdo se snaží udělat něco pro Stříbro. Chytrý a nezaujatý člověk si odpoví sám. A Vendulko, v čem je projekt polovičatý? Co vám na tomto koupališti chybí?   
08.12.2013 - 22:04:24
Vendulka - To že se to nestihne je čí chyba? Každý z těch početných úředníků moc dobře ví kolik je zapotřebí času pro územní řízení a co je možné? Pokud to neví, tak jsou hloupý. Pokud jsou tak hloupý, proč je krmíme. Nechala bych jim ten rozdíl zaplatit ze svýho. Hlupáci pak hází vinu na někoho kdo jim nedá zelenou.
08.12.2013 - 21:24:06
piikoloo - p.Nenutil,jaká "nepochopitelná tvrdohlavost"?? Koukám,že se seriózní debatě naopak bráníte.
07.12.2013 - 14:21:29
Pepa - Z dnešního článku v Tachovském deníku vyplývá, že kvůli termínu pro podání dotace bylo zapotřebí, aby ve zkráceném územním řízení dali majitelé sousedních pozemků svůj souhlas s výstavbou koupaliště, což se stalo až na majitele jednoho pozemku, který „sice nemá nic proti koupališti jako takovému, ale vadí mu způsob financování“. To znamená, že město letos nestihne podat žádost možná mimořádně i o 100% dotaci. Pochopil jsem, že město bude pokračovat v přípravě podkladů pro žádost o dotaci a bude čekat, zda bude vypsán další dotační titul. Pokud bude vypsán, už v něm asi nebude tolik peněz jako letos, takže i šance uspět budou menší a určitě nebude šance na 100% dotaci. Každý má právo se vyjádřit, nesouhlasit a připomínkovat. Bohužel zmíněný nesouhlas, jak už jsem níže uváděl, možná připraví město jen o 27 x 15% = 4 miliony Kč, ale možná i o celé koupaliště. Josef Hrábek
06.12.2013 - 15:44:21
Mathias - Maraste, ty se z těch komplexů nevyléčíš;) Mimochodem, ano, Vendul každý má právo na názor, tudíž i já. na solárka se také nikdo neptal, zda někomu vadí a hle, stojí. Přeberte po svém.
05.12.2013 - 21:14:43
Vendulka - Nevím jak je možný, že někdo ubírá druhému právo svobodně říct svůj názor, který má ze zákona deklarovaný. Jestliže nechce někdo ve svém sousedství nějakou stavbu, má právo se k tomu vyjádřit. Ono se naše úřady také nechovají k jednotlivým lidem, majitelům nemovitostí z rovna racionálně. Navíc nevím k čemu další polovičatý projekt, myslým, že už tady těch "levných variant" máme dost. Asi je jedno jestli ve vedení sedí Petr, Míra nebo Karel. Pořád stejná písnička. Uděláme to a to a pak zas tamto, abychom zacpali voličům huby a mi měli plné krabice od bot.
05.12.2013 - 15:15:11
miki - Pro morrest: Jen můj názor, samozřejmě nevím, jak je to zátěžové na provoz, ale pan Lukeš někde psal, že je to mnohem levnější varianta, než přímo bazén. Je pravda, že pokud by byla možnost volby pro více věcí, tak na prvním místě hlasuji pro pracovní příležitosti, od toho se pak odvíjí, zda máme či nemáme na radovánky. Ale jinak si myslím, že koupák by byl fajn, nebo aspoň upravená část kolem řeky. Děti mi jezdí daleko za vodou,a to je pro mě taky nákladné, a to i časově.
05.12.2013 - 15:08:21
morrest - pro Mathiase: Tak se nám také zveřejni :-) pro miki: To, co tu píšete, zavání výborem pro veřejné blaho. Výbor se usnesl, že přes Váš pozemek povede železnice a Váš dům pro jistotu zboříme. Všichni se na tom shodují, odpůrce jsme nechali převychovat. Osobně jsem proti stavbě projektů, které zatíží rozpočet města v řádech milionů Kč ročně. Když se podívám, kolik nás stojí např. ledová plocha (2 miliony ročně na provoz), tak bych si obdobu této radovánky odpustil a uvažoval spíše realisticky s ohledem na budoucí náklady s provozem. Raději varianta řeka - úprava dna - molo - lavičky - udržovat trávník, prostě plovárna, levná, bezobslužná, téměř beznákladová)
05.12.2013 - 13:06:17
Mathias - No tak sakra zvřejněte, kterej vykuk blokuje věc, kterou si přejí všichni občané už desítky let a kterou mají všechny sousední vesnice a města. Sem s ním, my ho tady řádně zpranýřujeme, myslím, že si to plně zaslouží!
05.12.2013 - 10:30:36
miki - Nepleťte do toho volby a přijďte na zastupitelstvo. To přece není možné, aby jeden člověk zničil sen všech. Já jsem taky ve čtvrti, kde v létě slyším křik na fotbale, v zimě pozdě večer řev z hokeje a ještě noční akce v KD. A chodím si snad stěžovat? Koupaliště bude v provozu cca 2 měsíce a rozhodně to nemůže žádného souseda obtěžovat. Dejte mu vstupné zdarma na koupák.Nebo jinou kompenzaci. Neznám jediné město, kde by byly veřejná sportoviště mimo obytnou zónu. Kdo by se taky chtěl tahat na koupák, stadión nebo do kulturáku třeba na Vranovskou nebo někam 3 kiláky za město? Jsem toho názoru, že pokud souhlasí nadpoloviční většina obyvatel kolem, tak že se to má prosadit!
04.12.2013 - 23:13:45
mecenas - Můj bože - x let se tady chce koupaliště nebo bazén. Teď je možnost dotace a opět špatně a někdo se chce pouze ROK před volbami zviditelnit?! Lidi, proberte se. Máme možnost něco udělat pro Stříbro a je to zase zkritizováno. Slova klasika to vystihují: "Velebnosti, jdu blejt!"
04.12.2013 - 20:30:51
rak - tak mi to připadá že pan Nenutil stále dodržuje pětiletky, ono nakonec od ankety zda koupaliště nebo bazén už pár let uteklo a .... Myslím, že asi nejvíc mrzuté je to, že se posunem termínu plánované výstavby koupaliště nebude moci toto použít před volbama příští rok.Jaká smůla co? Jinak těch několik let co na radnici pan Nenutil seděl se o koupání ve Stříbře živě diskutovalo i u kašny se konala zviditelňovací koupací akce, ale to nestačilo k nějaké aktivitě. Takže až dnes se začínající novou pětiletkou?
04.12.2013 - 18:27:32
M. Nenutil - A ještě poznámka: oba pánové jmenovaní u Mathias v tom určitě "nejedou". To jen pro vysvětlení.
04.12.2013 - 18:24:31
M. Nenutil - k Mathias . několik let jsem nereagoval na různé výpady, jejichž jsem byl dost často terčem. Každý, kdo mě zná, se přesvědčil, že se seriózní debatě nebráním. A za poslední léta si se mnou mnozí vyříkali spoustu věcí. Ale není mým zvykem schovávat se za nějaký nick nebo přezdívku; a co se týká diskutované hloubky? zadání pro projektanta znělo, že má připravit koupaliště s brouzdalištěm; není problém upravit projekt tak, aby v některém místě vyhovovala hloubka i "skokanům".
04.12.2013 - 13:58:06
Pepa - Míro, to ale předpokládá, že se jednak dotační titul vůbec vypíše a pochybuji, že příště, jak píše paní Novotná v informaci z jednání zastupitelstva „… lze na jeho pořízení získat dotaci, možná i stoprocentní …“, bude 100% dotace, o té se mluvilo asi teď mimořádně s ohledem na dovyčerpání peněz s ohledem na problémy v jiných regionech. Takže koupaliště být nemusí vůbec anebo na jeho pořízení bude muset město přispět minimálně 15%, což je z 27 miliónů minimálně 4 miliony Kč. Pokud je to skutečně jenom truc, který prodlouží stavební řízení za datum pro podání žádostí o dotaci, tak jsme ztratili naději na ušetření 4 milionů Kč. Josef Hrábek
04.12.2013 - 13:14:40
alois - Těšil jsem se, že nebudu muset jezdit s dětmi mimo Stříbro, ale jak to tak vypadá, zase se tady nic neudělá. Jaké možnosti mají rodiny s dětmi v létě, aniž by musely sednout do auta a jet někam mimo Stříbro?! Tolik let se tady volá po bazénu nebo koupališti a teď to někdo blokuje zřejmě kvůli svému klidu. To je smutné, ale asi si musíme ve Stříbře zvykat.
04.12.2013 - 12:51:33
Mathias - Pane Nenutile, fakt, že zde po celých pěti letech na něco reagujete, je spíše smutný. K tomu bazénu asi tolik: hloubka jeden metr je spíše úsměvná, takové brouzdaliště si nechte, mimochodem, vlastníci sousedních parcel se dají najít v katastru, dle mého názoru se jedná o pana Zemana a Cvrka.
04.12.2013 - 12:34:31
M. Nenutil - Dobrý den. Snad po pěti letech zde na něco reaguji. Milu musím zklamat, na koupaliště si ještě počká, protože nepochopitelná tvrdohlavost jednoho pána odsouvá celý projekt nejméně o jeden rok. Tím potvrzuji informaci mecenase a asi pochopíte, že konkrétní jména obou vlastníků sousedních pozemků zde být nemohou.
04.12.2013 - 09:22:41
Pepa - To jsou všechno zatím jenom spekulace, dostavte se 16. prosince na jednání zastupitelstva a budete moudřejší. Případně se můžete rovnou zeptat svých zastupitelů, co udělali pro výstavbu koupaliště, i když i pro dotaci také ne všichni zvedli ruku. A pokud Vám to nevyjde, můžete dojít k tajemníkovi nahlédnout do zápisu ze zastupitelstva. Všechno je zapsané. Hezký předvánoční čas všem Josef Hrábek
04.12.2013 - 08:29:37
Mila - Pod koupalištěm jsou dvě velké parcely 1858/1 a 1869/2 a není moc sousedních zahrad http://nahlizenidokn.cuzk.cz/VyberParcelu.aspx, na kterých mohou mít jejich majitelé svoje bazény. Já ale stále nevěřím, že by se našel někdo, kdo by nechtěl, abychom ve Stříbře měli tak potřebné koupaliště.
03.12.2013 - 22:59:12
mecenas - Nevím, kdo všechno je proti. Třeba nám někdo z vedení města sdělí, jak to je.
03.12.2013 - 22:50:08
Mila - Mecenáši nestrašte! Kdo?
03.12.2013 - 20:53:52
Gustaf - 1,3m hloubka plaveckého bazénu?? A není to málo...Antone Pavloviči???
03.12.2013 - 20:15:36
mecenas - Ono hlavně koupaliště zřejmě nebude. Jak už to ve Stříbře bývá, našli se lidé, kteří s výstavbou v sousedství svých domů nesouhlasí a možnost získání dotace tak zablokovali.
03.12.2013 - 19:33:57
georges - Ono to nebude zadarmo,tak jich tam moc nebude.Myslím těch hnědočechů :-).Není hloubka 1,3 m málo?
03.12.2013 - 17:01:39
fobus - Spíše tam bude dost hnědočechů, takže raději jezdit do Plzně do krytého.
03.12.2013 - 16:39:11
Mila - To bude pro maminky a babičky s dětmi úžasný. Konečně! Už se těším na léto. Bude tam dost stromů kvůli stínu?



Pro reakci na článek musíte být přihlšen


Publikování nebo šíření článku a fotografií ze stribro.cz je bez souhlasu autora zakázáno.
Účetnictví a prodejna počítačů Stříbro | Tvorba www stránek Stříbro